
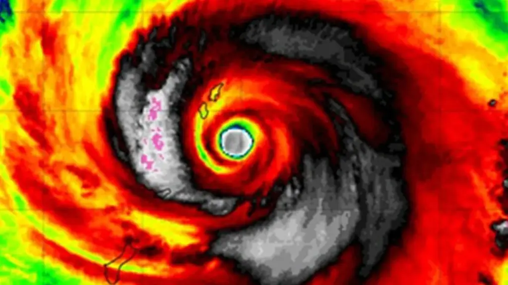
O avanço do supertufão Sinlaku no Oceano Pacífico Oeste tem chamado a atenção de meteorologistas por indicar mudanças importantes no sistema climático global. Apesar de não oferecer risco direto ao Brasil, o fenômeno ocorre em um ambiente de águas excepcionalmente quentes, o que é considerado um forte indicativo da aproximação de um episódio de El Niño.
O tufão se desenvolveu em uma região com temperaturas da superfície do mar muito acima da média, condição que fornece grande quantidade de energia para a formação e intensificação de ciclones tropicais. Esse cenário permitiu que o sistema atingisse rapidamente força equivalente à categoria 5, o nível mais alto na escala desses fenômenos.
Esse tipo de intensificação rápida está diretamente ligado ao excesso de calor armazenado no oceano, que potencializa a formação de tempestades mais fortes e organizadas.
Indicativo de mudança climática em curso
A formação de um tufão tão intenso fora do período mais comum é vista como um sinal de que há uma reorganização em andamento no clima global. Esse comportamento é típico de momentos que antecedem o desenvolvimento do El Niño.
Atualmente, há um grande acúmulo de águas quentes no Pacífico Oeste, próximo à Indonésia e à Austrália. Esse “estoque” de calor pode ser deslocado para outras regiões do oceano, alterando a circulação atmosférica e dando início ao fenômeno.
Como o El Niño se forma
O El Niño ocorre quando as águas do Pacífico Equatorial ficam mais quentes que o normal e os ventos alísios enfraquecem. Esse processo permite que o calor acumulado se desloque pelo oceano, impactando o clima em diversas partes do mundo.
Esse deslocamento altera padrões de chuva, temperatura e circulação de ventos, com efeitos que podem ser sentidos em escala global.
Impactos no clima do Brasil e do mundo
Caso o El Niño se confirme nos próximos meses, o Brasil pode enfrentar mudanças significativas no clima. No Sul do país, há maior risco de chuvas acima da média, com possibilidade de enchentes e temporais frequentes. Já nas regiões Centro-Oeste e Sudeste, a tendência é de aumento das temperaturas e ocorrência de ondas de calor.
No Nordeste, o fenômeno pode favorecer períodos de estiagem, afetando principalmente a agricultura e o abastecimento de água.
Embora o supertufão Sinlaku esteja distante do território brasileiro, ele faz parte de um conjunto maior de alterações climáticas que impactam todo o planeta.
O comportamento do oceano Pacífico tem influência direta sobre o clima global, e eventos como esse ajudam a antecipar tendências que podem afetar diferentes regiões, incluindo o Brasil.







